Pour une meilleure navigation sur le site, activez javascript.
page suivante »
çnvrv^fo




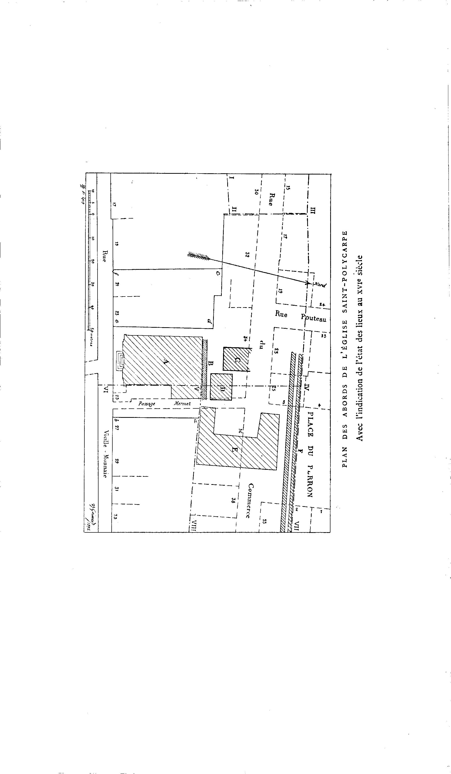
           PLAN   DES   ABORDS     DE    L'ÉGLISE    S AINT-POLYCARPE

                  Avec l'indication de l'état des lieux au xvi« siècle